Tag Archives: Hàng không Mỹ

Doanh thu của các hãng hàng không Mỹ tăng cao

Các hãng hàng không Mỹ đã tìm cách để “kiếm” nhiều tiền hơn từ các khách hàng và họ sẽ cần tài chính để trang trải cho những chi phí nhiên liệu, lao động và các loại khí khác đang ngày càng tăng. Ngày 25/10, hãng hàng không Southwest Airlines Co. đã cảnh báo về một sự gia tăng đáng …

Read More »

Hàng không Mỹ chạy đua bán vé rẻ

JetBlue mới gia nhập xu hướng vé phổ thông cơ bản của hàng không Mỹ

Xu hướng vé phổ thông cơ bản nổi lên trong bối cảnh, ngành Hàng không Mỹ tìm mọi biện pháp “vớt vát” lợi nhuận trước tình hình chi phí nhiên liệu leo thang. Trước xu hướng đua nhau bán vé máy bay phổ thông cơ bản với giá rẻ nhất của hàng không Mỹ (kể cả các hãng hàng không …

Read More »

Đài Loan cảm ơn hãng hàng không Mỹ “qua mặt” Bắc Kinh, không gọi là Đài Bắc Trung Quốc

Hãng hàng không United Airlines (Mỹ) tìm ra cách đặc biệt để “phân biệt” Đài Loan và Trung Quốc Đại lục mà vẫn tuân thủ yêu cầu của Bắc Kinh về chính sách “Một Trung Quốc”. Theo đó, người đặt vé máy bay trên website của United Airlines có thể nhìn thấy những lựa chọn là “Tân Đài tệ”, “Nhân …

Read More »

Các hãng hàng không Mỹ thi nhau giảm kích thước ghế ngồi

Tại Mỹ, ngành hàng không đang đối mặt vấn đề: Thể trạng hành khách ngày càng quá khổ còn kích thước ghế… Tại Mỹ, ngành hàng không đang đối mặt vấn đề: Thể trạng hành khách ngày càng quá khổ còn kích thước ghế dần bị thu hẹp, không cần quan tâm tới sự khó chịu bất tiện của các …

Read More »

Hàng không Mỹ “bỏ túi” hơn 15,5 tỉ USD

Năm ngoái, lợi nhuận của các hãng hàng không quốc gia Mỹ tiếp tục tăng, trong đó, các hãng hàng không lớn nhất nước này công bố lợi nhuận khoảng 15,5 tỉ USD, trong đó, riêng lợi nhuận từ phí hành lý đã chiếm 4,6 tỉ USD. 23 hãng hàng không của Mỹ báo cáo lợi nhuận sau thuế tăng …

Read More »

Hãng hàng không Mỹ gửi nhầm chó tới Nhật Bản

“Chúng tôi không biết chuyện gì xảy ra, thật kinh khủng. Tại sao lại nhầm lẫn như thế được. Họ nói với tôi rằng giấy tờ ghi rõ đây là Irgo”, Joseph tức giận nói. Sự việc chưa dừng lại ở đó. Hãng United Airlines thông báo rằng chú chó của Joseph có thể sẽ phải mất 2 tuần kiểm dịch trước khi có thể rời khỏi Nhật Bản. Dù vậy, thông tin mới nhất của Daily Mail cho biết Irgo đang trên được vận chuyển tới Mỹ. Chỉ có một điều là không biết bao giờ chú chó mới gặp lại chủ Joseph của mình. Joseph cho biết ông cảm thấy tức giận vì đáng lẽ ra chú chó sẽ có mặt cùng gia đình khi họ vừa quyết định chi tiền mua một căn nhà mới. “Chắc Irgo sẽ không có mặt kịp thời để đoàn tụ với chúng tôi lúc mua căn nhà này”.

Hãng máy bay Mỹ thông báo có khả năng chú chó sẽ bị “giam lỏng” ở Nhật Bản trong 2 tuần. Joseph và Kara Swindle trên đường di chuyển từ thành phố Oregon tới Wichita của Mỹ cùng con trai 7 tuổi và con gái 2 tuổi. Họ đi cùng chú chó giống chăn cừu Đức 10 tuổi tên Irgo. …

Read More »

Hàng không Mỹ miễn phí đổi vé sau vụ tấn công Las Vegas

Các hãng hàng không Mỹ miễn phí đổi/trả vé cho hành khách

Các hãng hàng không Mỹ thực hiện chính sách miễn phí đổi vé đến/đi từ Las Vegas sau vụ xả súng kinh hoàng tại đây. Hãng hàng không United Airlines cho phép hành khách đã đặt vé đến và đi từ Las Vegas trong thời gian từ ngày 2-13/10 được thay đổi lịch trình mà không bị mất phí. Chương …

Read More »

Hàng không Mỹ thu lợi nhuận khủng từ phí hành lý

Hành khách mua vé giá rẻ nhưng phải trả thêm phí hành lý ký gửi dẫn đến giá cao hơn vé gộp

Hàng không Mỹ thu lợi nhuận kỷ lục 1,2 tỉ USD từ phí hành lý ký gửi và 737,5 triệu USD Hàng không Mỹ thu lợi nhuận kỷ lục 1,2 tỉ USD từ phí hành lý ký gửi và 737,5 triệu USD từ phí thay đổi đặt chỗ trong quý II năm 2017, hãng tin Fox News dẫn dữ liệu …

Read More »

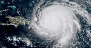
Hàng không Mỹ tất bật sơ tán người dân tránh bão Irma

Khi bão Irma tiếp tục mạnh lên, các hãng hàng không Mỹ đã điều chỉnh kế hoạch bay, thông báo hủy chuyến và đảm bảo với khách không tăng giá vé. Irma là cơn bão lớn thứ hai đổ vào Mỹ trong nhiều tuần qua. Dự kiến cơn bão này sẽ đổ bộ vào Florida những ngày cuối tuần này. …

Read More »

Call Now